Japón aguarda este martes la llegada del potente tifón Jebi
Con vientos de 160 km/h, afirman que es el más potente en 25 años y tocaría tierra manteniendo una fuerza muy alta. El Tifón podría volver a afectar zonas castigadas por las inundaciones en julio.

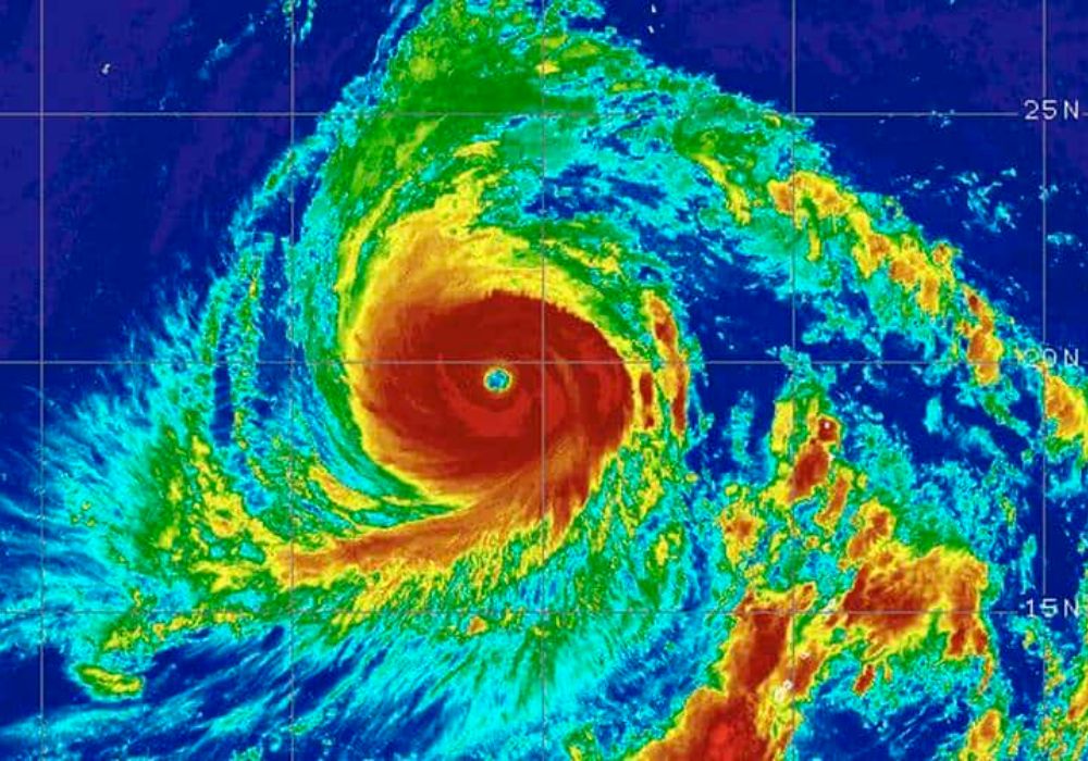
El Potente tifón Jebi continúa su avance hacia el norte y tocará tierra este martes en el sudoeste de Japón. Según informó la Agencia Meteorológica Nacional, se trata del tifón más fuerte que tocará tierra en el archipiélago japonés en los últimos 25 años.
Este ciclón tropical de intensidad muy fuerte se movía en dirección norte a 20 km/h con una presión central de 945 hpa, según el último reporte oficial emitido a las 06.40 hora argentina del lunes 3. En su avance mantiene vientos sostenidos de 160 km/h y ráfagas de hasta 220 km/h.
Jebi supo alcanzar días atrás la categoría de supertifon y actualmente la intensidad de vientos sostenidos corresponde a la de un tifón con categoría 2, pudiendo degradarse rápidamente a categoría 1 al tocar tierra en el sudoeste nipón, cerca de Osaka.

"Hay muchas posibilidades de que toque tierra manteniendo una fuerza muy alta", dijo en rueda de prensa el meteorólogo de la Agencia Meteorológica Japonésa (JMA) Ryuta Kurora, quien señaló que se prevén "tempestades" en amplias zonas del oeste, el este y el norte del país, y llamó a las autoridades locales a "tomar prontas medidas para garantizar la seguridad".
La JMA también alertó sobre el fuerte oleaje y las intensas lluvias previstas en la mitad occidental del país, así como del riesgo de inundaciones y corrimientos de tierra.
Antecedentes recientes
Desde julio Japón viene siendo muy afectado por fenómenos extremos. En aquel mes se registraron muy elevadas temperaturas y catastróficas inundaciones que dejaron más de 200 muertos. Semanas atrás, el tifón “Cimarron” trajo nuevas consecuencias negativas al ingresar por el oeste del archipiélago dejando fuertes lluvias.
La trayectoria del actual tifón Jebi podría situarse a lo largo de la zona afectada por las intensas inundaciones en julio. Aún así, su paso podría acelerarse al tocar tierra por lo cual el tiempo de permanencia con lluvias intensas no sería tan prolongado.
El primer ministro japonés, Shinzo Abe, recordó que el país nipón ya ha sufrido en este 2018 varios tifones y lluvias torrenciales, por lo que señaló que las autoridades "harán todo lo posible" para evitar un nuevo desastre.
El país se prepara para la llegada del tifón en las próximas horas. Se producirán importantes interrupciones en los medios de transporte aéreo y ferroviario durante el martes. Es posible además el corte de carreteras en el sur y el oeste del archipiélago. Habrá suspensión de clases escolares y las empresas han recomendado a sus empleados trabajar desde sus casas.
No te pierdas la última hora de Meteored y disfruta de todos nuestros contenidos en Google Discover totalmente GRATIS
+ Seguir a Meteored